Description
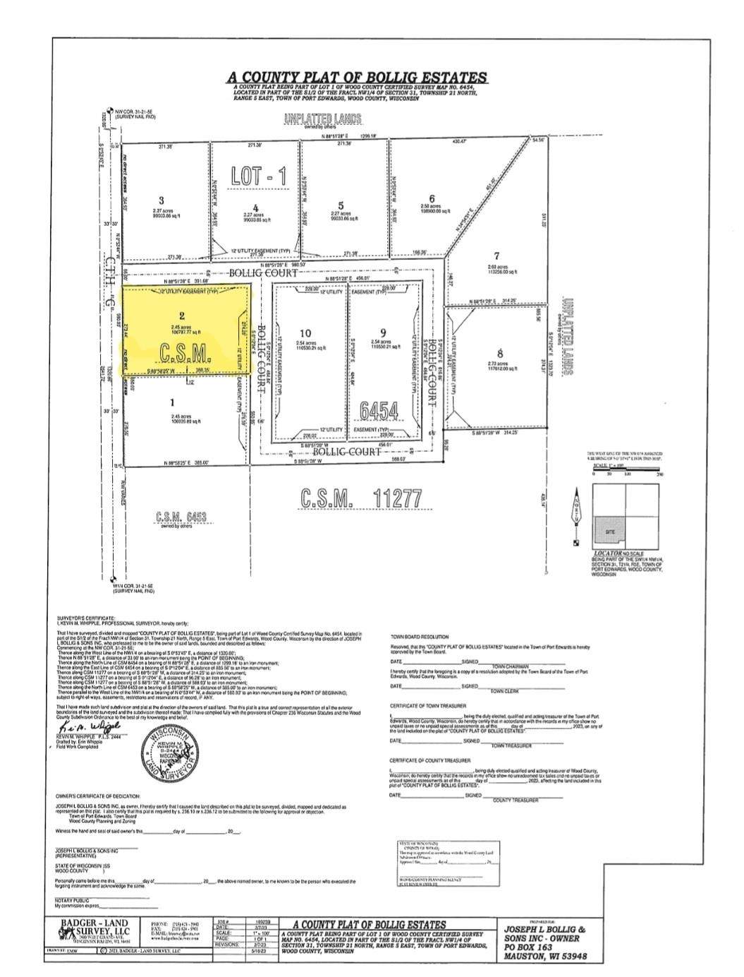
Great opportunity to be a first to own a buildable lot in newly created Bollig Estates subdivision. The electric and fiber optics are available at the lot line. Wooded 2.45 acre lot with towering pines. Build your dream home or cabin or simply use as recreational property for the time being. Camping and single wide manufactured homes are allowed. Please contact Port Edwards Township zoning administrator for details. If you are not interested in lot 2 you can choose a different lot available for sale in Bollig Estates- see associated docs for approved plat map. Close to Nekoosa and Rainbow Casino. Not far from Wisconsin River & Petenwell Lake- for great recreational activities. Wood County Aerial Maps reflect pictures of the woods before select clear cut just before subdivision was created.
-
0BEDS
-
2.45ACRES
-
0BATHS
-
01/2 BATHS
School Information
Description
Great opportunity to be a first to own a buildable lot in newly created Bollig Estates subdivision. The electric and fiber optics are available at the lot line. Wooded 2.45 acre lot with towering pines. Build your dream home or cabin or simply use as recreational property for the time being. Camping and single wide manufactured homes are allowed. Please contact Port Edwards Township zoning administrator for details. If you are not interested in lot 2 you can choose a different lot available for sale in Bollig Estates- see associated docs for approved plat map. Close to Nekoosa and Rainbow Casino. Not far from Wisconsin River & Petenwell Lake- for great recreational activities. Wood County Aerial Maps reflect pictures of the woods before select clear cut just before subdivision was created.
© 2025 South Central Wisconsin MLS Corporation. All rights reserved. IDX information is provided exclusively for consumers' personal, non-commercial use and may not be used for any purpose other than to identify prospective properties consumers may be interested in purchasing. Information is deemed reliable but is not guaranteed accurate by the MLS or Shine Realty. Data last updated: 2025-11-07T23:41:24.14.
