Description
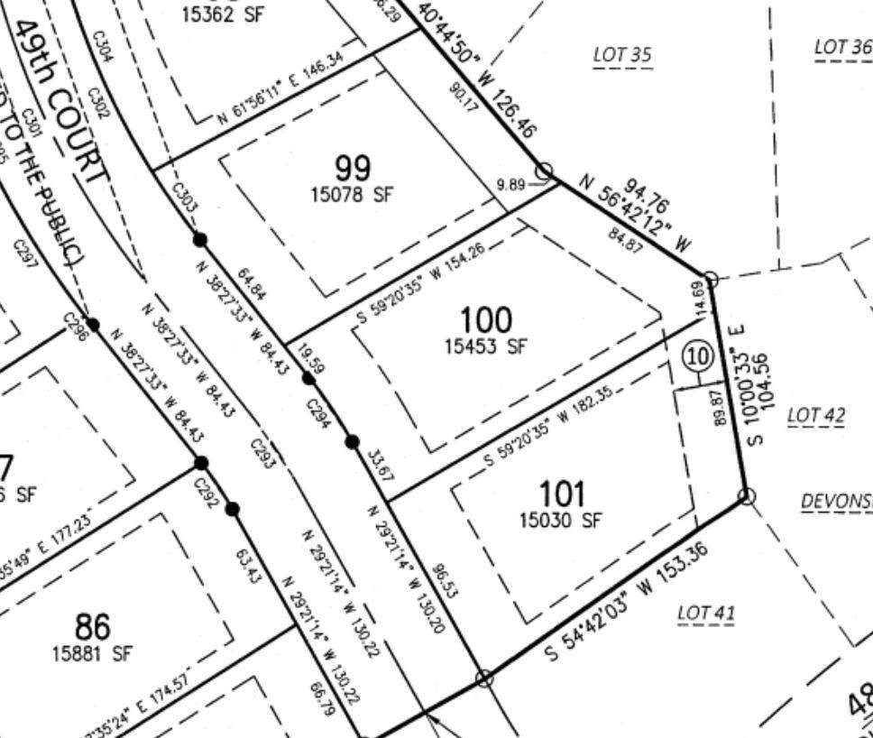
Welcome to Highland Estate Development, Pleasant Prairie's most exciting new residential community! Lot 100 is a generously sized homesite offering over 15,453 square feet--an ideal setting to bring your vision to life. Phase 1 is officially underway, giving you the opportunity to bring your own builder or work with one of our trusted partners. Designed with lifestyle and livability in mind, Highland Estates offers the perfect blend of community, comfort, and convenience in a prime location. Don't miss your chance to call this exceptional neighborhood home!
-
0BEDS
-
0.35ACRES
-
0BATHS
-
01/2 BATHS
Listing provided courtesy of Keller Williams North Shore West: (262) 877-2100.
Description
Welcome to Highland Estate Development, Pleasant Prairie's most exciting new residential community! Lot 100 is a generously sized homesite offering over 15,453 square feet--an ideal setting to bring your vision to life. Phase 1 is officially underway, giving you the opportunity to bring your own builder or work with one of our trusted partners. Designed with lifestyle and livability in mind, Highland Estates offers the perfect blend of community, comfort, and convenience in a prime location. Don't miss your chance to call this exceptional neighborhood home!
© 2025 MetroMLS - All rights reserved. Information is supplied by seller and other third parties and has not been verified. IDX information is provided exclusively for consumers' personal, non-commercial use and may not be used for any purpose other than to identify prospective properties consumers may be interested in purchasing. Information is deemed reliable but is not guaranteed accurate by MetroMLS or Shine Realty. Data last updated: 2025-12-05T23:52:32.01.
